Opte por utilizar o Google Chrome

Não se esqueça de manter seu navegador (browser) sempre atualizado! Atualizar meu navegador

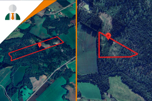
Leilões da Lei 9.514/97: Imóveis em Rebouças (PR)

Venda Pública: 25.160 (Extrajudicial; Online)
Título: Imóveis: Rebouças (PR)
Comitente: CRESOL HORIZONTE (25.160)
Local: Plataforma Online de Vendas Públicas
Data: 04/12/2025 11:30 (1º Leilão)
Data: 18/12/2025 11:30 (2º Leilão)

Lotes da Venda

Lote {{lote.Lt | Lotes}}

{{lote.NumeroVisitas | Lotes}}

{{lote.NumeroLances | Lotes}}

{{lote.Desc}}

Avaliação:

{{BRL(lote.VlrAv, lote.OcultarValoresLote)}}

{{lanceEfetuadoTxt(lote)}}

{{lanceEfetuadoVlr(lote, lote.OcultarValoresLote)}}

Leilão em Loteamento para Abertura e Oferta de Bens. Aguarde!